




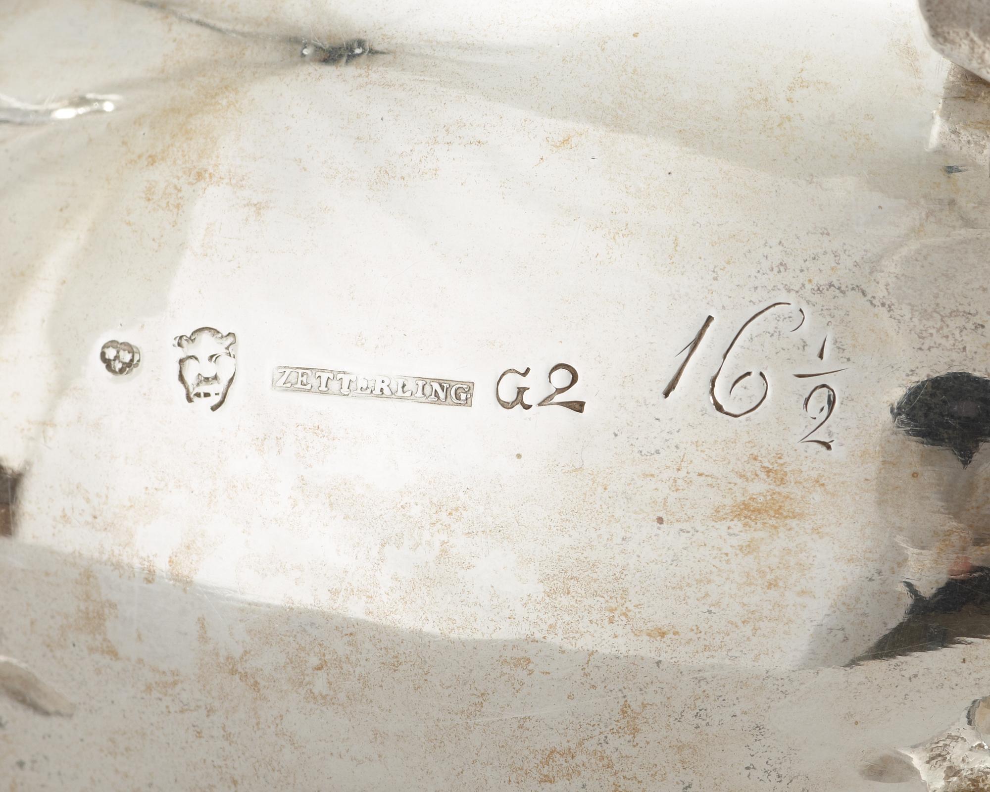
Invändigt förgylld. Oval på fyra bladfötter. Handtag med tumgrepp i form av rocaille med blomma. Längd 18 cm.
Ur en svensk privatsamling.
På grund av en teknisk orsak gick det inte att logga in. Vänligen undersök din Internetuppkoppling.
Prova gärna igen och kontakta vår Kundservice om problemet kvarstår.